Local Service Overview

Get Ants Extermination Service in Cincinnati, OH

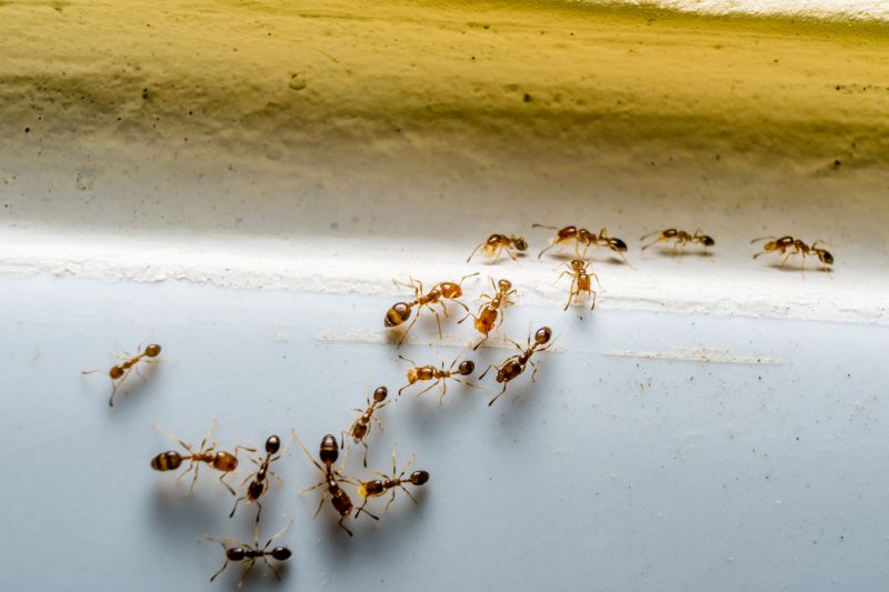
Ants extermination services for Cincinnati, OH, and nearby areas address ant infestations, including nests and colonies in residential and commercial properties.

Cincinnati, OH

Ants extermination services in Cincinnati, OH, provide property owners with an effective solution to manage and prevent ant infestations. Addressing these pests helps maintain a clean and comfortable living or working environment, reducing the risk of contamination and damage caused by ants. Professional extermination ensures that ant populations are controlled efficiently, contributing to the overall safety and functionality of the property while minimizing disruptions to daily routines.

Choosing expert ant control services also offers benefits related to durability and reduced maintenance. Proper treatment helps protect structures from potential damage, such as chewed wiring or compromised insulation, which can lead to costly repairs. Additionally, a well-executed extermination enhances curb appeal by keeping outdoor spaces tidy and free of ant colonies, promoting a more inviting appearance for residents and visitors alike.

Get Ants Extermination Service Quotes

  • Ants Extermination Services are useful when homeowners notice ant trails or nests inside their residences in Cincinnati, OH and surrounding areas.
  • These services are often needed when ants invade kitchens, pantry areas, or other spaces where food is stored or prepared.
  • Ants Extermination Services can help address infestations that occur in commercial buildings or restaurants in nearby communities.
  • Professional exterminators are contacted when ant colonies are found outdoors near foundations or landscaping in the local area.
  • Services are also sought when recurring ant problems persist despite initial treatment efforts in residential or business properties.

Get Ants Extermination Service Quotes

Ants Extermination Service
Ants Extermination Service
Ants Extermination Service

Ants extermination services involve identifying and eliminating ant infestations within residential, commercial, or industrial properties. These services typically include thorough inspections to locate ant colonies and entry points, followed by the application of targeted treatments to eradicate the pests. Depending on the severity of the infestation, local service providers may utilize various methods such as baiting, liquid treatments, or dust applications to effectively control ant populations and prevent future invasions.

The primary issues addressed by ants extermination services include structural damage, contamination, and nuisance problems caused by ant colonies. Some ant species, like carpenter ants, can compromise the integrity of wooden structures, while others, such as fire ants, pose health risks through painful stings and allergic reactions. Additionally, ant presence can lead to unsanitary conditions, especially when they invade food storage or preparation areas. Professional extermination helps to reduce these risks, restore comfort, and maintain a clean environment.

Properties that commonly utilize ants extermination services range from single-family homes to larger commercial buildings. Residential properties often seek pest control when ants are spotted in kitchens, bathrooms, or around the foundation, especially during warmer months when ant activity increases. Commercial establishments, including restaurants, grocery stores, and warehouses, frequently require regular pest management to meet health standards and prevent infestations that could disrupt operations or compromise hygiene.

Local pest control providers typically tailor their ant extermination services to the specific needs of each property type and infestation level. They may offer ongoing maintenance plans for properties prone to recurring ant problems or one-time treatments for isolated incidents. By addressing the root causes of ant invasions and applying appropriate control methods, these service providers help property owners maintain pest-free environments and reduce the likelihood of future infestations.

The overview below groups typical Ants Extermination Service projects into broad ranges so you can see how smaller, mid-sized, and larger jobs often compare in Cincinnati, OH.

In many markets, a large share of routine jobs stays in the lower and middle ranges, while only a smaller percentage of projects moves into the highest bands when the work is more complex or site conditions are harder than average.

Initial Inspection - The cost for an ant inspection typically ranges from $50 to $150. This fee covers identifying the extent of the infestation and determining the best treatment approach.

Basic Treatment - A standard ant extermination service usually costs between $100 and $300. This includes applying targeted treatments to eliminate common household ant species.

Full Property Treatment - For comprehensive coverage of larger properties, prices can range from $200 to $600. This often involves multiple treatment sessions and extensive application areas.

Follow-Up Services - Follow-up visits to ensure ant elimination generally cost between $75 and $200 per session. These visits help address recurring or stubborn infestations effectively.

Actual totals will depend on details like access to the work area, the scope of the project, and the materials selected, so use these as general starting points rather than exact figures.

Get an Ants Extermination Service Quote

Ants Extermination - Local pest control providers offer targeted services to eliminate ant colonies and prevent future infestations in residential and commercial properties.

Ants Inspection - Professionals conduct thorough inspections to identify ant activity, entry points, and nesting sites to develop effective treatment plans.

Ants Baiting and Trapping - Service providers utilize baiting and trapping methods to control ant populations safely and efficiently.

Ants Prevention - Experts recommend and implement strategies to reduce the likelihood of ant invasions through property modifications and ongoing monitoring.

Ants Treatment Plans - Customized treatment plans are designed by local pros to address specific ant species and infestation levels.

Ants Extermination Consultation - Professionals offer consultations to discuss ant problems and recommend appropriate solutions tailored to property needs.

Ants Extermination Service

When selecting a professional for ant extermination services, experience is an important factor to consider. Pros with a proven track record in pest control typically have extensive knowledge of ant behaviors and effective treatment methods. Homeowners can often find information about a service provider’s experience through their online profiles or websites, which may detail how long they have been operating in the Cincinnati, OH area and their familiarity with local pest issues. Verifying the length of time a provider has been serving the community can help ensure that the chosen professional has encountered a variety of ant infestations and has developed effective strategies.

Clear communication and written expectations are crucial when engaging with local pest control providers. Reputable service providers usually outline their service procedures, what homeowners can expect during treatments, and any follow-up steps in written form. This transparency helps prevent misunderstandings and ensures that homeowners are fully informed about the scope of work. When comparing options, it’s beneficial to review any available documentation or service agreements to understand the scope, procedures, and any preparations needed before treatment.

Reputable references and reviews can serve as valuable indicators of a local extermination service’s reliability. Many service providers can provide references or showcase reviews from previous clients in Cincinnati and surrounding areas. These references offer insights into the quality of service, professionalism, and effectiveness of treatments. Additionally, open lines of communication-whether through phone, email, or online contact forms-are often maintained by trusted providers to facilitate easy inquiries and ongoing updates. Homeowners are encouraged to seek out these details to help identify service providers who are transparent, responsive, and well-regarded within the community.

Get an Ants Extermination Service Quote

Property owners in Cincinnati, OH use Ants Extermination Service services for practical projects around their homes and businesses. The sections below highlight everyday jobs and straightforward project options.

Ants Extermination Service
Ants Extermination Service

Ants extermination services are often sought by property owners in Cincinnati, OH, when ants become a persistent nuisance in homes or commercial buildings. Common situations include spotting ants in kitchens or around food storage areas, which can indicate a growing infestation. Property owners may also notice ant trails or find nests in walls, basements, or outdoor spaces, prompting them to seek professional help to eliminate the problem effectively.

Reasons for engaging local extermination services can include the desire to prevent damage to structures or belongings caused by ant colonies, as well as to maintain a clean and hygienic environment. Property owners might also look for assistance after attempting DIY methods that proved ineffective or when ant activity spreads throughout different parts of the property. Connecting with experienced local providers can help address these everyday project situations efficiently.

Get an Ants Extermination Service Quote

How do ant extermination services work? Ant extermination services typically involve inspecting the property to identify ant colonies, then applying targeted treatments to eliminate visible ants and their nests. Professionals may use baits, sprays, or dusts to control the infestation effectively.

Are ant treatments safe for pets and children? Most ant extermination methods used by local professionals are designed to be safe when applied according to instructions. It is recommended to discuss any concerns with the service provider before treatment.

How long does an ant extermination service take? The duration of an ant extermination service can vary depending on the extent of the infestation, but most treatments are completed within a few hours. Follow-up treatments may be scheduled if necessary.

Will I need to prepare my home before the service? Preparation steps may include clearing clutter, storing food items, and providing access to affected areas. Specific instructions will be provided by the service provider to ensure effective treatment.

How can I prevent future ant problems? To prevent future ant issues, it is advisable to eliminate food and water sources, seal entry points, and maintain cleanliness around the property. Local pros can offer additional recommendations tailored to the area.

Ants Extermination Solutions - Local service providers offer targeted treatments to eliminate ant colonies and prevent future infestations.

Inspection and Identification - Pros can assess property conditions to identify ant entry points and nesting areas for effective removal strategies.

Barrier and Residual Treatments - Experts apply treatments around the perimeter of buildings to create a barrier against ants and reduce their presence.

Ongoing Monitoring and Prevention - Service providers can establish plans to monitor ant activity and recommend preventative measures to maintain a pest-free environment.

Ants Extermination Service

Considering Ants Extermination Service for a property in Cincinnati, OH? The sections above highlight common project types, practical options, and details that often shape the scope of work.

When you are ready, use the quote form to share a few details about your project. Local pros can review the basics and respond with options that match what you have in mind.

Get an Ants Extermination Service Quote

Ants Extermination Quotes

Our Trusted Partners
Kilter Termite and Pest Control
Venning Pest Control
Uinta Pest Solutions